+ Lisa oma töö      

Otsid ehitajat "Korterite remont" valdkonnast?

Parima pakkumise ja teostaja leidmiseks lisa oma töö.

Hange on lõppenud!

Võitjaks osutus kasutaja ID 41025

Korraldaja hinnang tehtud tööle

2.3
28.12.2016
Töökiirus: 12345
Kvaliteet: 12345
Hind: 12345

Töö oli ok, kuigi venis objektiivsetel põhjustel. Kõige enam häiris, et ehitaja jättis korteri võtmed enda kätte ja ei too enam tagasi. - Kaiko K.

Toa remont korteris

ID 37752

6916 vaatamist

Prindi

  • check Pakkumiste tegemine
    kuni 18.09.2016
  • check Võitja valik kuni
    25.09.2016
  • 3 Töö teostamine
    ja hinnang
Hanke lõpp: P, 18. september, 2016
Maakond: Harjumaa
Linn: Tallinn
Tööde algus: E, 03. oktoober, 2016 (Soovituslik)
Tööde lõpp: K, 30. november, 2016 (Soovituslik)
Ehitusmaterjalid: Töö tegija poolt

Töö sisu

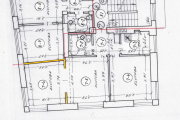
Remonditav tuba ca 13 m2. Lae kõrgus 2,7m. Seinte täpsemad mõõdud on toodud joonisel (joonis 1, tuba 7-6). Ühes seinas on suur ca 2,2m laiune ukseava (samuti nähtav joonis 1).

Hange sisaldab töid:
1) Kahele seinale karkassi ehitamine (joonis 1 tähistatud kollasega), ehitusplaadiga katmine, pahteldamine. Seinad on puhastatud vanast krohvist ja on kaetud puitlaudadega. Suuremale, ilma ukseta seinale, tuleb paigaldada heliisolatsioon. Heliisolatsiooni materjali valik, paksus jms näitajad valitakse pakkuja ettepanekul ja lepitakse kokku. Kõik ehitusmaterjalid pakkuja poolt va ehitusplaat, mis on hankija poolt (http://magrock.eu/tooted/magrock-silver/). Karkassi puhul arvestada, et ehitusplaadi mõõdud on 1200x2400x12.
2) Kahe ülejäänud seina pahteldamine (joonis 1 eraldi tähistamata välisseinad. Seintel on vana krohv, mis on seina küljes hästi kinni. Kohati esineb auke, pragusid jms kahjustusi. Kõik ehitusmaterjalid pakkuja poolt
3) Radiaatorite ja nende taguste pahteldamine ja värvimine. Kõik ehitusmaterjalid pakkuja poolt
4) Lae pahteldamine ja värvimine. Kõik ehitusmaterjalid pakkuja poolt.
5) Toas elektrivalmiduse loomine, mis tähendab pistikute ja lülitite freesimist, paigaldamist ning juhtmete vedamist seina sees. Juhtmed peaks välja tooma järgmisesse tuppa (joonis 1 tuba 7-5), et oleks edaspidi võimalik vooluvõrku ühendada. Korteris on olemas uus ja kaasaegne elektikilp ning arvestatud reservid. Kokku on toas 4 pistikut ja kaks lülitit. Pistikute ja lülilite paigutus on toodud joonisel 2. Elektrikaablid, toosid pakkuja poolt. Pistikud ja lülitid hankija poolt.
6) Ehitusprahi äravedu

Hange ei sisalda:
1) Aknalauad
2) Aknapaled
3) Põrand

Hankele lisatud pildid toast (pilt 1-7)

Hinnapakkumises palun välja tuua:
1) Pakkumuse kogumaksumus
1) Ehitusmaterjali hind
2) Ehitustööde tunnihind ühe inimese kohta
3) Ehitustööde orienteeruv kestus ja mitme inimesega on arvestatud

Hindamisel on kõige määravam tunnihind. Materjali hind ja tööde kestus on pakkumuste võrreldavuse tagamiseks. Korteris on vaja veel üht-teist teha ja kokkuleppele saamise korral soovin ka teisi töid tellida.

Ehitustööde teostamise aeg võiks jääda perioodi oktoobri algus kuni novembri lõpp.

Ehitustööde kohta vajan arvet.


Pildid, video ja failid

Hanke korraldaja: eraisik ID40539

Pakkumised

Pakkumisi kokku: 1

Ettevõte Summa Käibemaks Lisatud Vestlus
Kasutaja ikoon ID41025
Pakkuja profiil Väike nool paremale
18€ Ei sisalda Ei sisalda 17.09.2016 Vestlus (5)

Pakkumise kirjeldus:

Tegemist on tunnihinnaga töölise kohta. Materjali korvate esitatud tšekkide alusel. Töö on korralik ja kvaliteetne, millele anname garantii. Lisaküsimused antud keskkonnas.
Hinnale käibemaksu ei lisandu ning tasumine toimub arve alusel iganädalaselt.
Lugupidamisega
J.

Küsimused hanke korraldajale

Hanke korraldajale ei ole veel küsimusi esitatud.

Lisa küsimus

Lisa küsimus

Minu pakkumine

Reeglid

Pakkumise kirjelduse väli on mõeldud pakkumise detailsemaks lahti kirjutamiseks. Pikema teksti mugavaks sisestamiseks klikkige kasti paremal ülaservas oleval ikoonil.
Pakkumist tehes on keelatud postitada enda kontaktandmeid (nimi, telefon, aadress jne). Me jälgime ja analüüsime pakkumisi, et vältida pettuseid ja reeglite rikkumisi.
Rikkumise puhul kasutajakonto blokeeritakse.

 

Teisi töid samas valdkonnas

Valdkonnas "Korterite remont" on 3 aktiivset tööd

Vannitoa, WC remont kapitaalremont ja uute põrandate panek

Asukoht: Harjumaa, Keila
Aega jäänud: 3p 9h
Tehtud pakkumisi: 1

Vanemad teated:

Vaata kõiki

Sellel veebilehel kasutatakse küpsiseid. Kasutamist jätkates nõustute küpsiste kasutamisega.

Sulge
 
Minu pakkumine

Reeglid

Pakkumise kirjelduse väli on mõeldud pakkumise detailsemaks lahti kirjutamiseks. Pikema teksti mugavaks sisestamiseks klikkige kasti paremal ülaservas oleval ikoonil.
Pakkumist tehes on keelatud postitada enda kontaktandmeid (nimi, telefon, aadress jne). Me jälgime ja analüüsime pakkumisi, et vältida pettuseid ja reeglite rikkumisi.
Rikkumise puhul kasutajakonto blokeeritakse.