+ Lisa oma töö      

Otsid ehitajat "Aia ehitus" valdkonnast?

Parima pakkumise ja teostaja leidmiseks lisa oma töö.

Puuaia vahetamine ja müratõkkesein

ID 47494

1716 vaatamist

Prindi

  • check Pakkumiste tegemine
    kuni 03.06.2019
  • check Võitja valik kuni
    10.06.2019
  • 3 Töö teostamine
    ja hinnang
Hanke lõpp: E, 3. juuni, 2019
Maakond: Pärnumaa
Linn: Pärnu
Tööde algus: E, 03. juuni, 2019 (Soovituslik)
Tööde lõpp: K, 31. juuli, 2019 (Soovituslik)
Ehitusmaterjalid: Töö tegija poolt

Töö sisu

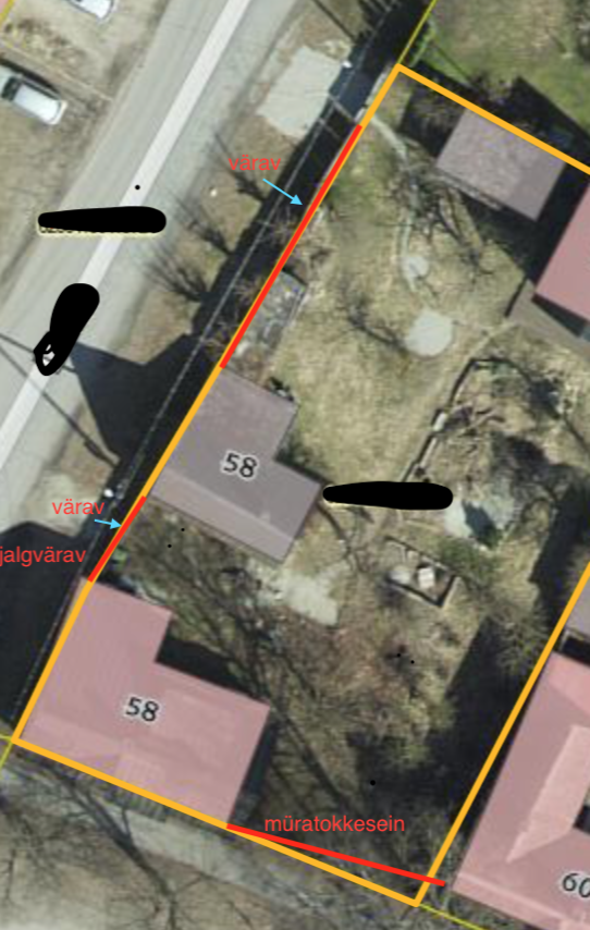
Vana piirdeaed uue vastu vahetamine, vanad ja tugevad metallpostid juba on (kõrgus 1,4 m). Puitosade kogupikkus 15,5 + 5,5 + 13 m, aia kõrgus 180 cm. Tuleb vana aia lammutada ning uue aia valmistada ja paigaldada. Struktuur nagu vanas pildis. Tellija poolelt materjalid ei ole. Metallpostid jäävad nagu on.

Puuaed: Üks autovärav, üks jalgvärav ja üks koht kus värav on võimalik lahti saada (koht haagissuvilale ja koht võib olla lihtne väräv või midagi muud). Pikkus 15,5 + 5,5 m. Kattelaud. Värv tume sinine.

Müratokkesein: pikkus 13 m, struktuur pildis (joonis) -> puu + sobiv soojustusplaadid, näiteks EPS 60 Silver voi kivivill (3 paneelid, paksus 50 mm) + niiskuskindel sokli paneel + kattelaud.

Pildid, video ja failid

Hanke korraldaja: eraisik ID51056

Pakkumised

Pakkumisi kokku: 3

Ettevõte Summa Käibemaks Lisatud Vestlus
Kasutaja ikoon ID48659
Pakkuja profiil Väike nool paremale
4 575€ Ei sisalda Ei sisalda 01.06.2019 Vestlus (0)

Pakkumise kirjeldus:

Tere!
pakkumises on:
Aialipid kuivatatud saematerjal 22x100
kuivatatud prussid 50x100 ja müratõkkeseinale 50x150
müratõkkesein 3x50mm EPS + sokkel
puidust autovärav + jalgvärav koos riividega ja haagisuvilale eemaldatavad paneelid
NB hind ei sisalda värvimist. Masinvärvitud laud ja prussid + ca 1000€ või võib keegi teine hiljem värvida.
... Rohkem

Kasutaja ikoon ID41334
Pakkuja profiil Väike nool paremale
3 800€ Ei sisalda Ei sisalda 02.06.2019 Vestlus (0)

Pakkumise kirjeldus:

Vana aia demontaaz ja utiliseerimine. Uue aia paigaldus. Hind sisaldab uusi aiaposte (kohapeal sooviks üle vaadata kas on vajalik), müratõkke seinas mõlemal pool 50x100 prussist karkassil voodrilaud, sokkel kivipuruplaat. Aed 22x125cm lauast 50x100 horisontaalpõõnadel.

Kasutaja ikoon ID44110
Pakkuja profiil Väike nool paremale
3 750€ Ei sisalda Ei sisalda 02.06.2019 Vestlus (0)

Pakkumise kirjeldus:

Hinnapakkumine vastavalt hanke kirjeldusele. Piirdeaed 22x100 hööveldamata, värvitud materjalist. Vana piirde lammutamine ja äravedu. (Vanad postid jäävad paika) 2 tiibväravat ja üks jalgvärav. Müratõkkesein vastavalt eskiisjoonisele. Garantii.

Küsimused hanke korraldajale

Küsimus: private ID48659   28.05.2019 15:15
Tere. palun andke oma umbkaudne hinna nägemus mis olete arvestanud.<br />
Eelmine kord kui tegime pakkumised siis vist ei sobinud.<br />
Juhul kui hinna klassi teaks siis saaks vastavalt pakkuda. <br />
- näiteks peensaetud ja hõõveldatud materjali asemel saab kasutada tavalist saematerjali <br />
- ei pea pintseldama ja saab värvida kompressoriga või masinas või kasutada sinise asemel pruuni süvaimmutatud puitu jne...<br />
kas kogu aia kõrgus tuleb 1,8m või vaid ühe osa ? Postid on 1,4m kas osa aeda tuleb 1,4m kõrgune ? <br />
teisisõnu ,et mida täpselt kui palju ,et saaks täpsemini materjali kulu arvestada.<br />
need kõik on tegurid mis hinda ikka väga suurelt mõjutavad ja teised samuti saavad nii täpsemaid hinnapakkumisi teha !<br />
<br />
<br />
parimate soovidega !

Teavita reeglite rikkumisest

Korraldaja vastus:
Hanke korraldaja ei ole küsimusele veel vastanud

Lisa küsimus

Lisa küsimus

Minu pakkumine

Reeglid

Pakkumise kirjelduse väli on mõeldud pakkumise detailsemaks lahti kirjutamiseks. Pikema teksti mugavaks sisestamiseks klikkige kasti paremal ülaservas oleval ikoonil.
Pakkumist tehes on keelatud postitada enda kontaktandmeid (nimi, telefon, aadress jne). Me jälgime ja analüüsime pakkumisi, et vältida pettuseid ja reeglite rikkumisi.
Rikkumise puhul kasutajakonto blokeeritakse.

 

Teisi töid samas valdkonnas

Valdkonnas "Aia ehitus" on 18 aktiivset tööd

Tänavakivi puhastus

Asukoht: Harjumaa, Tallinn
Aega jäänud: 9h 51 min
Tehtud pakkumisi: 8

no-img Pilt puudub

Piirdeaia postide paigaldus koos paneelidega

Asukoht: Tartumaa
Aega jäänud: 1p 9h
Tehtud pakkumisi: 5

Vanemad teated:

Vaata kõiki

Sellel veebilehel kasutatakse küpsiseid. Kasutamist jätkates nõustute küpsiste kasutamisega.

Sulge
 
Minu pakkumine

Reeglid

Pakkumise kirjelduse väli on mõeldud pakkumise detailsemaks lahti kirjutamiseks. Pikema teksti mugavaks sisestamiseks klikkige kasti paremal ülaservas oleval ikoonil.
Pakkumist tehes on keelatud postitada enda kontaktandmeid (nimi, telefon, aadress jne). Me jälgime ja analüüsime pakkumisi, et vältida pettuseid ja reeglite rikkumisi.
Rikkumise puhul kasutajakonto blokeeritakse.