+ Lisa oma töö      

Otsid ehitajat "Projekteerimine" valdkonnast?

Parima pakkumise ja teostaja leidmiseks lisa oma töö.

Hange on lõppenud!

Võitjaks osutus kasutaja ID 42152

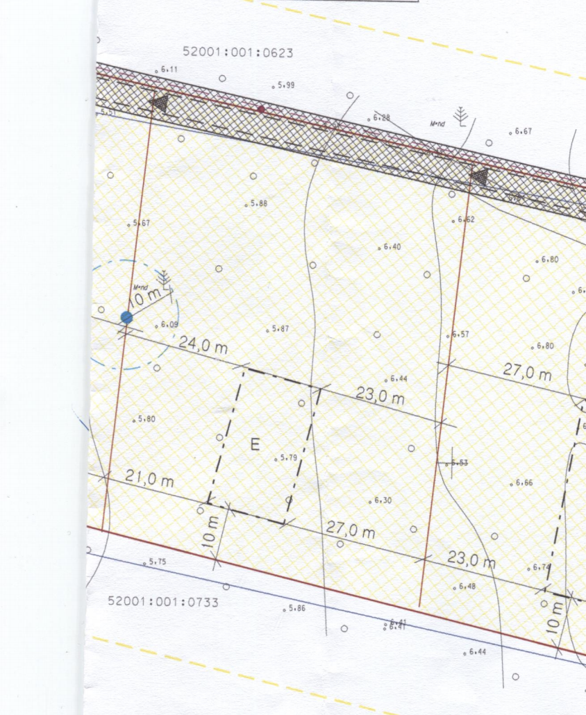
Asendiplaani koostamine krundile

ID 50054

1523 vaatamist

Prindi

  • check Pakkumiste tegemine
    kuni 23.01.2020
  • check Võitja valik kuni
    30.01.2020
  • 3 Töö teostamine
    ja hinnang
Hanke lõpp: N, 23. jaanuar, 2020
Maakond: Läänemaa
Muu asula: Elbiku
Tööde algus: L, 01. veebruar, 2020 (Soovituslik)
Tööde lõpp: N, 30. aprill, 2020 (Soovituslik)
Ehitusmaterjalid: Töö tegija poolt

Töö sisu

Tere,

On olemas ca 5000 m2 krunt millele on koostatud detailplaneering.

Alguses on plaan krundile paigaldada Greencube Maarja moodulmaja (http://www.greencube.ee/-/Greencube_Maarja+.html)

Tahaks läbimõelda ja teha asendiplaan, mille peal oleks:

* Täpne maja asukoht
* Juurdepääsu tee (on olemas ettekujutus kus juurdepääsu tee peaks täpselt minema)
* Puurkaev ja sellega seotud torustik
* Elektrikaablid
* Septik


Aitäh

Pildid, video ja failid

Hanke korraldaja: eraisik ID52894

Pakkumised

Pakkumisi kokku: 1

Ettevõte Summa Käibemaks Lisatud Vestlus
Kasutaja ikoon ID42152
Pakkuja profiil Väike nool paremale
200€ Ei sisalda Ei sisalda 22.01.2020 Vestlus (0)

Pakkumise kirjeldus:

Üksikelamu asendiplaani koostamine koos tehnovõrkude lahendusega

Küsimused hanke korraldajale

Hanke korraldajale ei ole veel küsimusi esitatud.

Lisa küsimus

Lisa küsimus

Minu pakkumine

Reeglid

Pakkumise kirjelduse väli on mõeldud pakkumise detailsemaks lahti kirjutamiseks. Pikema teksti mugavaks sisestamiseks klikkige kasti paremal ülaservas oleval ikoonil.
Pakkumist tehes on keelatud postitada enda kontaktandmeid (nimi, telefon, aadress jne). Me jälgime ja analüüsime pakkumisi, et vältida pettuseid ja reeglite rikkumisi.
Rikkumise puhul kasutajakonto blokeeritakse.

 

Teisi töid samas valdkonnas

Valdkonnas "Projekteerimine" on 7 aktiivset tööd

no-img Pilt puudub

1-kordse 120 m2 elumaja põhiprojekt

Asukoht: Harjumaa, Metsanurme
Aega jäänud: 8p 10h
Tehtud pakkumisi: 4

no-img Pilt puudub

Saunamaja eelprojekt ehitusteatiseks

Asukoht: Lääne-Virumaa
Aega jäänud: 1p 10h
Tehtud pakkumisi: 3

Vanemad teated:

Vaata kõiki

Sellel veebilehel kasutatakse küpsiseid. Kasutamist jätkates nõustute küpsiste kasutamisega.

Sulge
 
Minu pakkumine

Reeglid

Pakkumise kirjelduse väli on mõeldud pakkumise detailsemaks lahti kirjutamiseks. Pikema teksti mugavaks sisestamiseks klikkige kasti paremal ülaservas oleval ikoonil.
Pakkumist tehes on keelatud postitada enda kontaktandmeid (nimi, telefon, aadress jne). Me jälgime ja analüüsime pakkumisi, et vältida pettuseid ja reeglite rikkumisi.
Rikkumise puhul kasutajakonto blokeeritakse.